Hem

Katastrof hotar – tyfon närmar sig Kinas kust

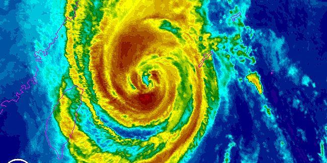
Kina evakuerade hundratusentals personer och utfärdade den högsta alarmberedskapen när tyfonen Fitow närmade sig östkusten. Nationella meteorologiska centret sade att stormen väntades nå land tidigt på måndagen.
Zhejiang hade evakuerat 574 000 personer och Fujian 177 000, rapporterade nyhetsbyrån Xinhua.

Omni är politiskt obundna och oberoende. Vi strävar efter att ge fler perspektiv på nyheterna. Har du frågor eller synpunkter kring vår rapportering? Kontakta redaktionen