Hem
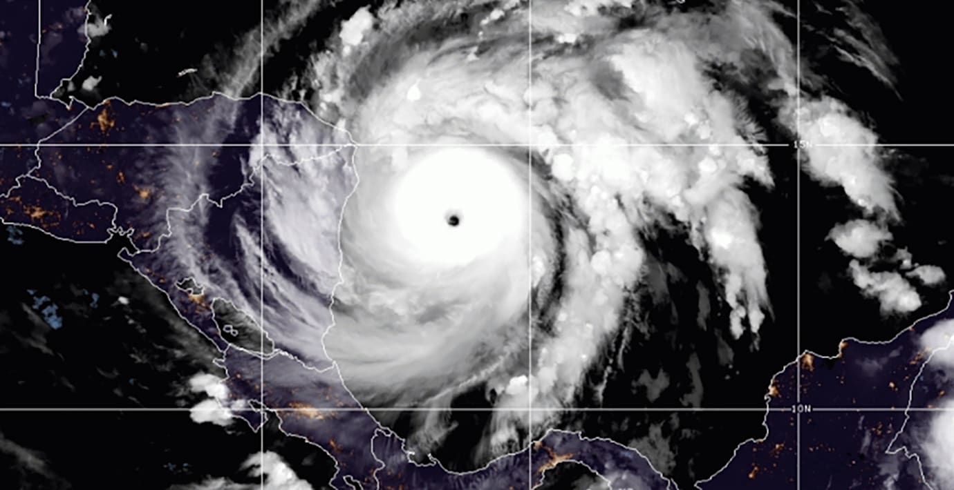
Orkanen Iota på satelitbilder. (TT NYHETSBYRÅN)

Nya monsterorkanen klassas upp till högsta nivån

Orkanen Iota som är på väg mot Centralamerika har uppgraderats till nivå fem på den femgradiga skalan, rapporterar flera medier. Enligt USA:s nationella orkancentrum kan Iota få katastrofala effekter när den når land.

Orkanen väntas bli ännu mer kraftfull än Eta som härjade i samma område för bara ett par veckor sedan.

Årets orkansäsong har varit extremt intensiv med 30 namngivna stormar och 13 orkaner, skriver New York Times. Enligt Washington Post är det också första gången man uppmätt en nivå fem-orkan så här sent på säsongen.

På tisdagsmorgonen svensk tid hade orkanen nått land och nedgraderats en nivå, men med fortsatt mycket kraftiga vindar.

Omni är politiskt obundna och oberoende. Vi strävar efter att ge fler perspektiv på nyheterna. Har du frågor eller synpunkter kring vår rapportering? Kontakta redaktionen